
Chìa khóa trao tay, gọi ngay
0915 010 800


Khi nhắc đến những dự án bất động sản nổi bật tại khu vực phía Tây Hà Nội, không thể không kể đến Khu đô thị Geleximco Lê Trọng Tấn. Đây không chỉ là một dự án quy mô lớn mà còn là minh chứng cho tầm nhìn phát triển đô thị hiện đại, nơi hội tụ đầy đủ các yếu tố để trở thành một khu đô thị dự án lý tưởng cho cả nhu cầu an cư và đầu tư.

Với quy mô ấn tượng trải rộng trên diện tích 137,56 ha, dự án được phát triển bởi Tập đoàn Geleximco – một trong những tên tuổi uy tín trong lĩnh vực bất động sản Việt Nam. Điều đặc biệt là dự án đã hoàn tất pháp lý với sổ hồng sở hữu lâu dài, mang lại sự an tâm tuyệt đối cho các gia chủ tương lai.
Dự án được quy hoạch thành 4 phân khu riêng biệt: A, B, C và D, mỗi khu mang một đặc trưng riêng nhưng đều hướng đến tiêu chuẩn sống hiện đại. Tổng vốn đầu tư hơn 3.000 tỷ đồng cho thấy sự nghiêm túc và tầm nhìn dài hạn của chủ đầu tư trong việc xây dựng một cộng đồng sống đẳng cấp.

Điểm ấn tượng là dự án không chỉ tập trung vào việc xây dựng nhà ở mà còn đầu tư mạnh vào hạ tầng và tiện ích, với mật độ xây dựng chỉ 35% – đảm bảo không gian xanh thoáng đãng cho cư dân. Các loại hình sản phẩm đa dạng từ biệt thự sang trọng, nhà liền kề tiện nghi đến chung cư cao cấp, đáp ứng nhu cầu của nhiều phân khúc khách hàng.
Xem thêm: Khu đô thị Monbay Hạ Long

Tọa lạc dọc hai bên trục đường Lê Trọng Tấn – con đường huyết mạch kết nối khu vực phía Tây với trung tâm Hà Nội, dự án sở hữu vị trí địa lý vô cùng thuận lợi. Từ đây, cư dân chỉ mất 6 phút di chuyển đến BigC Thăng Long, 15 phút đến khu Công nghệ cao Láng Hòa Lạc, và 8 phút đến đường Lê Văn Lương.

Hệ thống giao thông kết nối đa hướng với các tuyến đường quan trọng như Đại lộ Thăng Long, vành đai 3.5, Tố Hữu tạo nên một mạng lưới di chuyển thuận tiện. Đặc biệt, vị trí giáp ranh với các biệt thự khu đô thị hà nội lớn như Vinhomes Smart City, Nam An Khánh, Bắc An Khánh mang lại lợi thế to lớn về tiện ích và môi trường sống.
Điều thú vị là từ các phân khu khác nhau của dự án, cư dân có thể tiếp cận các tiện ích ngoại khu một cách thuận tiện. Khu A giáp Đại lộ Thăng Long thuận lợi cho việc di chuyển về trung tâm, khu B gần Thiên Đường Bảo Sơn lý tưởng cho giải trí cuối tuần, còn khu C và D nằm ngay trên trục chính dễ dàng kết nối với Aeon Mall Hà Đông.
Khám phá: Khu đô thị Trần Lãm

Điểm nhấn trong quy hoạch của dự án chính là sự phân chia hợp lý thành 4 phân khu, mỗi khu có định vị và đặc trưng riêng. Phân khu A với diện tích 30 ha được xem như “cửa ngõ” của dự án, nơi tập trung các tòa chung cư cao cấp Gemek Tower cùng dãy nhà liền kề hiện đại. Vị trí giáp Đại lộ Thăng Long và đối diện dự án Bắc An Khánh tạo nên một không gian sống sôi động.

Phân khu B rộng 21 ha lại hướng đến phân khúc cao cấp với các biệt thự đơn lập và biệt thự song lập sang trọng. Điểm đặc biệt của khu B là vị trí giáp khu vui chơi Thiên Đường Bảo Sơn, mang lại môi trường giải trí tuyệt vời cho cư dân.

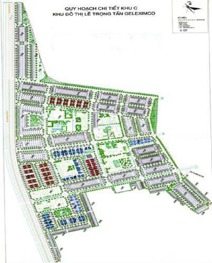
Phân khu C và D với tổng diện tích 82 ha được quy hoạch đối diện nhau qua đường Lê Trọng Tấn, tạo nên một trục phát triển mạnh mẽ. Đây là nơi tập trung các sản phẩm biệt thự có hồ bơi cao cấp và shophouse kinh doanh, đáp ứng nhu cầu đa dạng của khách hàng. Khu D còn được biết đến với tên gọi Green Daisy, nổi bật với cảnh quan xanh mát và không gian thoáng đãng.

Tìm hiểu: Khu đô thị Thành Công
Sức hút của dự án không chỉ đến từ vị trí mà còn từ sự đa dạng trong các loại hình sản phẩm. Các căn biệt thự 2 tầng với diện tích từ 200-375m² được thiết kế theo phong cách hiện đại, kết hợp harmonious giữa không gian sống và làm việc. Điều đáng chú ý là các căn biệt thự đều có sân vườn riêng, tạo nên không gian xanh riêng tư cho mỗi gia đình.

Nhà liền kề với diện tích từ 60-160m² cao 3-4 tầng là lựa chọn phù hợp cho các gia đình trẻ. Thiết kế thông minh với mặt tiền rộng từ 4-8m cho phép gia chủ linh hoạt trong việc bố trí không gian sống cũng như kinh doanh. Đặc biệt, nhiều căn biệt thự liền kề được thiết kế với tầng hầm, tăng thêm diện tích sử dụng.
Chung cư Gemek Tower là điểm nhấn của dự án với 2 tòa cao từ 29-34 tầng, cung cấp 1.276 căn hộ có diện tích từ 59-104m². Tòa chung cư không chỉ là nơi ở mà còn tích hợp văn phòng dịch vụ và trung tâm thương mại, tạo nên một tổ hợp đa chức năng hiện đại.
Tham khảo: Khu đô thị Khai Sơn City

Một trong những điểm mạnh nhất của dự án chính là hệ thống tiện ích được đầu tư bài bản. Bên trong khu đô thị, cư dân được thụ hưởng các trường học chất lượng như trường liên cấp Alpha, Lomonoxop, Motessori đặt tại khu A và trường mầm non Tân Thời Đại tại khu B. Điều này giải quyết được nỗi lo lắng lớn nhất của các gia đình có con nhỏ về vấn đề giáo dục.
Không gian xanh là điểm nhấn đặc biệt với hệ thống công viên cây xanh bao phủ toàn dự án. Khu vui chơi trẻ em được thiết kế an toàn, hiện đại cùng với các sân thể thao đa năng tạo điều kiện cho cư dân rèn luyện sức khỏe. Bể bơi ngoài trời tại khu D đã đi vào hoạt động, trở thành điểm đến yêu thích của cả gia đình vào những ngày cuối tuần.
Về tiện ích ngoại khu, dự án hưởng lợi lớn từ vị trí gần các trung tâm thương mại lớn. Chỉ vài phút di chuyển là đến Aeon Mall Hà Đông – siêu thị lớn nhất khu vực, BigC Thăng Long với đầy đủ các dịch vụ mua sắm, ăn uống. Khu vui chơi Thiên Đường Bảo Sơn ngay cạnh khu B là điểm giải trí tuyệt vời cho cả gia đình.
Hệ thống thiết kế nội thất các căn nhà tại đây cũng được chủ đầu tư quan tâm đặc biệt, với những mẫu thiết kế hiện đại, tối ưu không gian sống.

So sánh: Khu đô thị Green Park Móng Cái
Điểm đáng ghi nhận là dự án đã đạt được tiến độ ấn tượng với hạ tầng cơ bản hoàn thành tại cả 4 phân khu. Khu A với các tòa chung cư và nhà liền kề đã hình thành mặt bằng rõ nét, nhiều căn đã được bàn giao và có cư dân về sinh sống. Điều này tạo nên một cộng đồng sống thực tế thay vì chỉ là “dự án trên giấy”.
Các phân khu B, C, D cũng đã sẵn sàng cho việc bàn giao với cơ sở hạ tầng hoàn chỉnh. Đường giao thông nội khu rộng rãi, hệ thống cấp điện, cấp nước, xử lý nước thải đã đồng bộ. Cây xanh được trồng và chăm sóc bài bản, tạo nên bầu không khí trong lành ngay từ những ngày đầu cư dân về ở.
Về mặt pháp lý, dự án có ưu thế lớn khi đã hoàn tất các thủ tục cần thiết. Sổ hồng sở hữu lâu dài được cấp cho nhiều căn, tạo điều kiện cho khách hàng vay vốn ngân hàng một cách thuận lợi. Công ty thiết kế nội thất uy tín cũng đã tham gia vào việc tư vấn thiết kế cho các gia chủ muốn hoàn thiện ngôi nhà theo phong cách riêng.

Với mức giá từ 156-346 triệu/m² tùy thuộc vào vị trí và loại hình sản phẩm, dự án được đánh giá có mức giá cạnh tranh so với các dự án cùng tầm tại khu vực phía Tây Hà Nội. Điều đặc biệt là dự án cung cấp nhiều lựa chọn với các căn nhỏ từ 60m² phù hợp với gia đình trẻ có ngân sách hạn chế.
Triển vọng tương lai của khu vực rất tích cực khi phía Tây Hà Nội đang là trọng tâm đầu tư phát triển của thành phố. Sự xuất hiện của các khu đô thị lớn xung quanh, cùng với việc nhiều cơ quan nhà nước dịch chuyển về đây tạo nên động lực tăng trưởng mạnh mẽ.

Đặc biệt, kế hoạch nâng cấp huyện Hoài Đức lên quận trong thời gian tới sẽ mang lại nhiều lợi ích về hạ tầng và dịch vụ công. Việc đầu tư vào thiết kế nội thất biệt thự tại đây cũng trở nên hấp dẫn hơn khi cộng đồng cư dân ngày càng đông đúc và văn minh.
Khu đô thị Geleximco Lê Trọng Tấn không chỉ là một dự án bất động sản mà còn là biểu tượng cho tầm nhìn phát triển đô thị bền vững. Với những gì đã và đang được xây dựng, đây hứa hẹn sẽ trở thành một trong những điểm đến lý tưởng nhất cho các gia đình tìm kiếm không gian sống hiện đại tại khu vực phía Tây Hà Nội.
Nhiều gia đình khi chuyển về sinh sống tại các khu đô thị mới thường băn khoăn về việc thiết kế nội thất sao cho phù hợp với không gian và phong cách sống riêng. Thay vì chấp nhận những mẫu thiết kế có sẵn, họ mong muốn tạo ra một ngôi nhà thực sự mang dấu ấn cá nhân. BETAVIET hiểu được tâm lý này và đã đồng hành cùng hàng nghìn gia đình trong hành trình biến ước mơ thành hiện thực. Với kinh nghiệm hơn 15 năm trong lĩnh vực thiết kế nội thất nhà liền kề, biệt thự và chung cư, đội ngũ kiến trúc sư BETAVIET luôn lắng nghe và thấu hiểu những mong muốn sâu sắc nhất của từng gia chủ. Từ đó đưa ra những giải pháp thiết kế độc đáo, vừa đảm bảo tính thẩm mỹ vừa tối ưu công năng sử dụng. Nếu bạn đang tìm kiếm một đối tác đáng tin cậy để thi công nội thất cho tổ ấm mới tại Geleximco Lê Trọng Tấn, hãy liên hệ hotline 0915010800 để được tư vấn miễn phí và khám phá những ý tưởng thiết kế phù hợp nhất với gia đình bạn.


Tư vấn chuyên sâu bởi nhà thiết kế, giám đốc thi công nhiều năm kinh nghiệm

Giảm tới 30% 300tr
Đồ nội thất nhập khẩu

Hỗ trợ thủ tục pháp lý
cấp phép xây dựng
Betaviet sẽ liên hệ để tư vấn Quý khách trong thời gian sớm nhất
Trân trọng cảm ơn!